-
Compteur de contenus
5754 -
Inscription
-
Jours gagnés
35
Type de contenu
Profils
Forums
Calendrier
Tout ce qui a été posté par Nico 14
-
Suivi de l'ouragan majeur MELISSA
Nico 14 a répondu à un sujet de Discolulu dans Suivi des Phénomènes Cycloniques
-
Suivi de l'ouragan majeur MELISSA
Nico 14 a répondu à un sujet de Discolulu dans Suivi des Phénomènes Cycloniques
-
Suivi de l'ouragan majeur MELISSA
Nico 14 a répondu à un sujet de Discolulu dans Suivi des Phénomènes Cycloniques
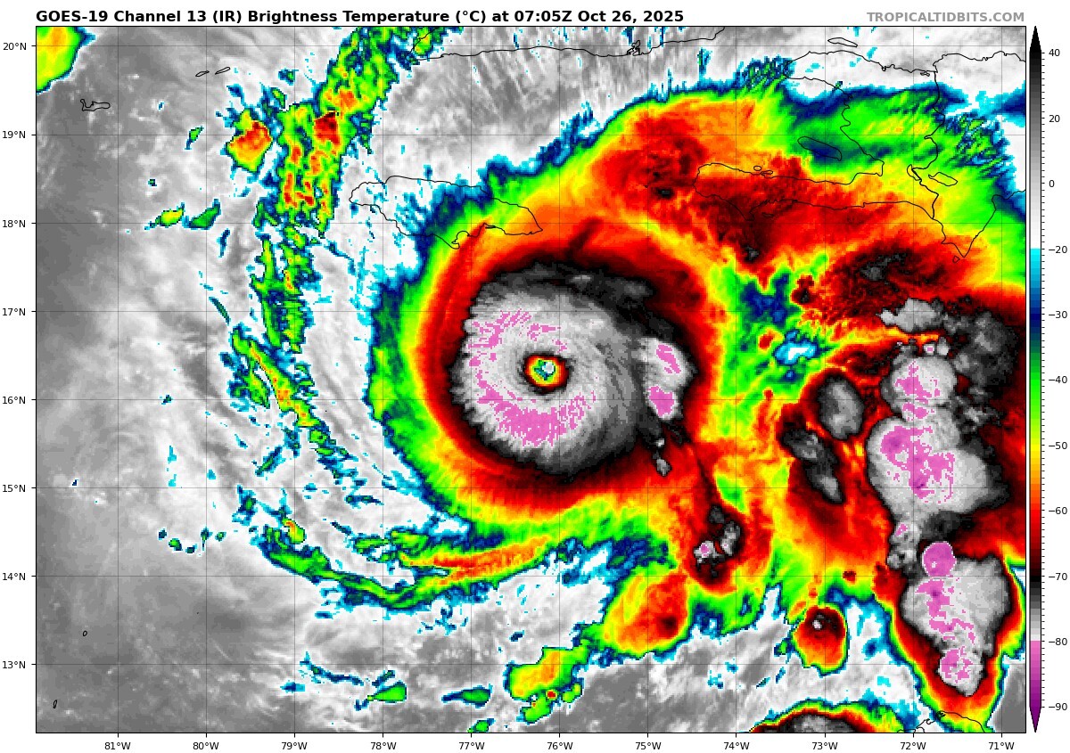
170kt , 909,5 hPa à l’instant. -
Suivi de l'ouragan majeur MELISSA
Nico 14 a répondu à un sujet de Discolulu dans Suivi des Phénomènes Cycloniques
909,9 hPa en pression extrapolée, il s’intensifie encore et fait maintenant parti des ouragans les plus puissants sur le bassin Atlantique.- 256 réponses
-
- 10
-
-
-
Suivi de l'ouragan majeur MELISSA
Nico 14 a répondu à un sujet de Discolulu dans Suivi des Phénomènes Cycloniques
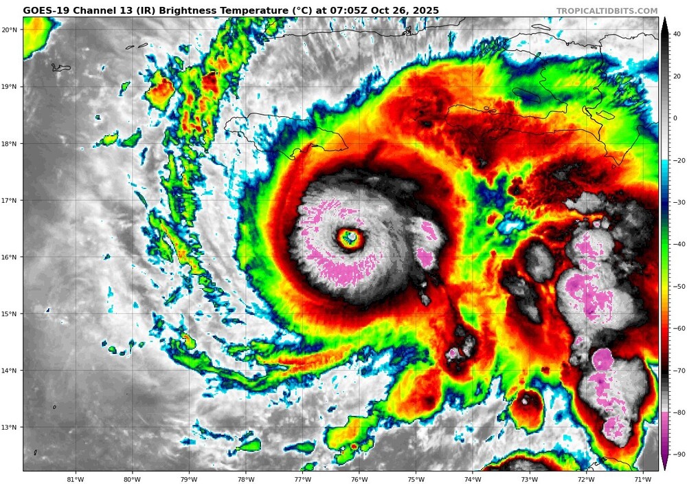
167 kt extrapolée en surface au dernier passage ! -
Suivi de l'ouragan majeur MELISSA
Nico 14 a répondu à un sujet de Discolulu dans Suivi des Phénomènes Cycloniques
- 256 réponses
-
- 16
-
-
-
-
Suivi de l'ouragan majeur MELISSA
Nico 14 a répondu à un sujet de Discolulu dans Suivi des Phénomènes Cycloniques
159 kt extrapolée en surface au dernier pointage du vol de reconnaissance ! La catégorie 5 est bien atteinte. Les modèles spécialisés d’intensification rapide voyaient une pression centrale voisine de 900 hPa il y a quelques jours. -
Coups de vent et tempêtes - saison 2025/2026
Nico 14 a répondu à un sujet de Victor hurricane tempête dans Prévisions à court et moyen terme
Comme identifié sur le LT voici une situation de creusement secondaire en SG de jet à suivre pour la fin de semaine: -
Saison cyclonique 2025 - Atlantique nord
Nico 14 a répondu à un sujet de Discolulu dans Suivi des Phénomènes Cycloniques
-
Saison cyclonique 2025 - Atlantique nord
Nico 14 a répondu à un sujet de Discolulu dans Suivi des Phénomènes Cycloniques
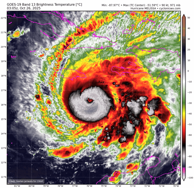
Pour ceux qui sont intéressés je viens de découvrir ce site très complet voici quelques produits que l'on peut trouver, vraiment très intéressant!! CyclonicWx- 296 réponses
-
- 10
-
-
-
-
Saison cyclonique 2025 - Atlantique nord
Nico 14 a répondu à un sujet de Discolulu dans Suivi des Phénomènes Cycloniques
Oui véritable catastrophe, comme prévu il s'est fortement intensifié. La prévision d'intensité max du NHC tablait déjà hier sur une intensité max à 135kt. Les dernières stats d'intensification rapides confirment encore un renforcement probable pour les 24 prochaines heures, il est actuellement tout proche de la catégorie 4 au dernier passage du vol de reconnaissance. -
Saison cyclonique 2025 - Atlantique nord
Nico 14 a répondu à un sujet de Discolulu dans Suivi des Phénomènes Cycloniques
-
Saison cyclonique 2025 - Atlantique nord
Nico 14 a répondu à un sujet de Discolulu dans Suivi des Phénomènes Cycloniques
Oui c'est parti "normalement" pour une intensification rapide sur les 48 prochaines heures, finalement la Jamaïque ne devrait pas être évité avec impact probable en majeur ainsi que l'est de Cuba: -
Du 27 octobre au 2 novembre 2025 - prévisions météo semaine 44
Nico 14 a répondu à un sujet de _sb dans Evolution à plus long terme
Comme l'a précisé Mathieu jeudi, la configuration qui pourrait se mettre en place à partir de la fin de semaine et possiblement jusqu'au week-end mérite une attention particulière. Le flux deviendrait progressivement cyclonique au fil des jours par l'ouest avec l'évolution des BG et le jet s'orienterait sur un axe SO->NE. On serait alors dans un contexte favorable au pilotage d'anomalies secondaires sur cet axe avec des creusements potentiellement explosifs. L'emplacement de la zone barocline reste à débattre et décidera probablement de la trajectoire que prendront ces anomalies. -
Saison cyclonique 2025 - Atlantique nord
Nico 14 a répondu à un sujet de Discolulu dans Suivi des Phénomènes Cycloniques
Il y en a une pourtant et de taille, à 120h,IFS 00z est toujours au SO de la Jamaïque quand la trajectoire officielle est déjà sur Cuba(trajectoire OFCI ci dessus),le NHC le note mais ce n'est pas pris en compte dans le consensus de la trajectoire officielle. NHC -
Saison cyclonique 2025 - Atlantique nord
Nico 14 a répondu à un sujet de Discolulu dans Suivi des Phénomènes Cycloniques
Très peu de dynamisme au niveau du flux d'altitude notamment, c'est bien visible sur le sondage entre 200 et 500Hpa. Pour l'intensité, j'aurais tendance à privilégier les modèles spécialisés d'intensification rapide, ce que fait le NHC d'ailleurs avec une prévision en majeur. Mais oui c'est pas commun avec un fort enjeu en plus. Edit : ce qui parait assez probable c'est un atterrissage sur l'est de Cuba en majeur, pour la Jamaïque un contournement du plus gros par le sud et l'ouest semble encore possible. Edit 2: et pour l'anecdote on le retrouve sur la Cap Finisterre à j+10: -
Coups de vent et tempêtes - saison 2025/2026
Nico 14 a répondu à un sujet de Victor hurricane tempête dans Prévisions à court et moyen terme
On est sur un scénario intermédiaire. C’est plus fort que prévu avec une trajectoire un peu plus méridionale qu’envisagée notamment sur 14 et 76( vigilance déclenchée sur obs pour ce département )mais moins fort que les scénarios extrêmes entrevus hier soir et tant mieux pour la Manche notamment où l’on pouvait craindre le pire. Sur le 14 la question pouvait largement se poser. Les scénarios qui voyaient un décalage au sud hier soir étaient pertinents. -
-
104km/h à Caen!
-
Coups de vent et tempêtes - saison 2025/2026
Nico 14 a répondu à un sujet de Victor hurricane tempête dans Prévisions à court et moyen terme
Ça fait 4 h que l’on a ces cartes sous les yeux! Et il faut se rendre compte quand même du scénario pour la Manche entre cette dernière carte et AROME IFS on est sur une violente tempête ! J’espère me tromper mais si un tel scénario se réalise il va y avoir des dégâts demain ! -
Coups de vent et tempêtes - saison 2025/2026
Nico 14 a répondu à un sujet de Victor hurricane tempête dans Prévisions à court et moyen terme
-
-
Coups de vent et tempêtes - saison 2025/2026
Nico 14 a répondu à un sujet de Victor hurricane tempête dans Prévisions à court et moyen terme
Il serait même pas déconnant de déclencher le FR-Alert pour le département de la Manche! -
Coups de vent et tempêtes - saison 2025/2026
Nico 14 a répondu à un sujet de Victor hurricane tempête dans Prévisions à court et moyen terme
@Neigedu38C'est le AROME avec les données d'ARPEGE, pour le coup j'ai des doutes sur ce scénario sachant que ICON,UKMO et IFS décalent la trajectoire vers le sud, le scénario d'AROME-IFS posté avant me semble plus pertinent! -
Coups de vent et tempêtes - saison 2025/2026
Nico 14 a répondu à un sujet de Victor hurricane tempête dans Prévisions à court et moyen terme
